
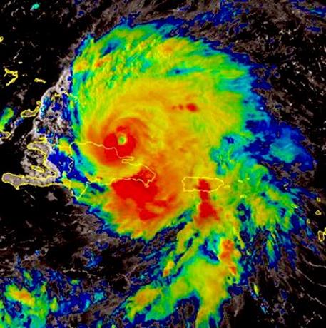
El ciclón se fue pero deja estela de lluvias
El oleaje permanecerá anormal, especialmente en la costa sureste, este y noreste en las próximas 24 horas, esperándose altura de olas de entre 10 a 14 pies con rompientes superiores
Santo Domingo, RD
El Centro de Operaciones de Emergencias (COE) y la Oficina Nacional de Meteorología (Onamet) advirtieron ayer que continuarán las lluvias en gran parte del país debido al paso del huracán Fiona.
Se mantiene el aviso de huracán desde Punta Caucedo hasta Cabo Francés Viejo, y de alerta de huracán desde Cabo Francés Viejo hasta Puerto Plata, y alerta de tormenta tropical desde la Península de Barahona hasta Punta Caucedo. Los modelos numéricos de predicción continúan indicando que el huracán Fiona generará acumulados de lluvias que oscilarán entre 80 y 200 milímetros, pudiendo ser superiores en puntos aislados, especialmente en zonas más elevadas, hasta cerca de 300 milímetros.
El oleaje permanecerá anormal, especialmente en la costa sureste, este y noreste en las próximas 24 horas, esperándose altura de olas de entre 10 a 14 pies con rompientes superiores, que podrían alcanzar hasta los 18 pies. Por el amplio campo nuboso dejado por Fiona, seguirá generando lluvias de moderadas a fuertes, tormentas eléctricas y ráfagas de viento, especialmente sobre los poblados de las regiones este, noreste, sureste, valle del Cibao y Cordillera Central.

